Granada Pioneer V.1 #1-5
Vol. 1 #1, Oct. 28, 1942

The masthead.
Page 1: Anitans G.I. clothing expected; letter from director of project; winner of paper-naming contest announced; medical checkups for butchers and mess hall workers continues.
Page 2: Lamar C of C thanks residents; Short Takes column; note about article in Rocky Mountain News about the camp; Block heads haul coal.
Page 3: Church services schedule; students interviewed by Jaysee; change made in address; volunteer workers to haul coal; a fire in a mess hall due to a short circuit; sub-zero weather to face center populace.
Page 4: Adult night classes listed; survey of center made; two from camp address Phi Beta Kappa and educators; symposium; school plans co-op store; a dance; gymnasium.

Page 5
Page 6: Thumbnail sketches column; table tennis; Halloween hop tickets; clothing article continues; three births, five deaths.
Page 7: All in Japanese.
Vol. 1 #2, Oct. 31, 1942
Page 1: Dr. Duffy honored; two articles on the issuing of clothes; fete tots; center women make federation plans.
Page 2: Ban sale of liquor; Short Takes column; grid, volley plans made.
Page 3: Thumbnail sketches column; cooperative draws 189; football game soon; recreation head leaves center; 30 students interviewed; mechanic jobs.
Page 4: Baby food stations are in operation; list of paper's staff; plan touch grid league; Rev. Yamaka to head federation; first aid kits issued; church services listed; The Grenada Christian Church News started publishing this week.
Page 5: Shoe shop will open; two articles on college enrollment; outside employment arrangements made; councilmen hear Hindley; music program held Fridays; girl reserves plan rally.
Page 6: Holly Lions Club fetes entertainers; Hop ducats still sold; Wardens on duty tonight; Santa Anita group here; YP in forum; school parties; local history; identify yourself (to get paychecks).
Page 7: Lil' Neebo cartoon.
Pages 8, 9: list of unclaimed letters and packages.
Page 10: In Japanese.
Vol. 1 #3, Nov. 4, 1942
Page 1: Dance ducats; sales tax; little theater; self-government plans.

For some reason, some temporary leaves are being banned.
Page 2: Business trend up (canteen sales increase); Short Takes column; clothing store opens; no tackle football; 1000 books have arrived for the library and elementary school.
Page 3: Thumbnail sketches column; baby food registration; football results; Sayre visits; a sermon.

More rumors.
Page 4: Medical exams for mess hall workers are continuing; Mercedians asked to call for pay checks; football results; Santa Anita checks here; church services schedule.
Page 5: Letters to the editor; help needed on WRA farm; list of paper's staff.
Page 6: Prep school standards are high; Santa Anita clothes issue nears finish; Anitan's sudden death.

Page 7 cartoon.

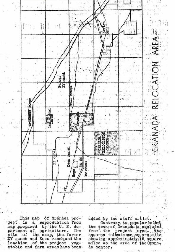
Page 8 map.
Page 9: In Japanese with English listing of titles.
Vol. 1 #4, Nov. 7, 1942
Page 1: Army calls Nisei men-U.S. wants volunteers who write Japanese; household goods here; form 74 required if you want to leave the camp for outside employment; Santa Anita pay checks; dance tonight.
Page 2: Women hear Lindley; Co-op board to be chosen; night art class given; Short Takes column; post-grad courses; rec art class; library hour change made; teachers are needed.
Page 3: List of paper's staff; managers to plan touch grid league; two more articles on football; church services listing; Masuoka is sports head; article on the Army wanting Japanese writers continues from page 1.
Page 4: Thumbnail sketches column; YWCA program to get underway at center; Scout heads aid plans; more milk maybe; four mile hike; baby girl born; grading of blocks to aid drainage is starting; college bulletins.

This is the type of little historical tidbit that often gets lost.
Page 5: Long lost cousins reunited; letters to the editor; anyone under 18 must have parents or guardians with them to go to the dental clinic; soldiers visit; textiles; Issei class; police department; more trucks.

Map on page 6.
Page 7: Lil Neebo cartoon.
Pages 8 and 9: In Japanese, with English listing of titles.
Vol. 1 #5, Nov. 11, 1942
Page 1: Armistice Day; Disney met teach art; Hawaii dance; songfest; YWCA rally; the paper has moved to different location.

Theft.
Page 2: Six make farm survey; church program; Short Takes column; junior high co-op; Denver U. heads; faculty enlarged; church services schedule; Kiyabu's sermon; guest speaker.
Page 3: Firemen needed now; Y's way; Xmas seal campaign; five entertain Holly Lyons; optometry clinic moves; time cards; Santa Anita Center deserted; Civil Service registrants urged to transfer.
Page 4: Listing of paper's staff; letters to the editor; three articles on football; med exams for mess hall workers halted until further notice; a pencil collector gave a speech.
Page 5: Lil' Neebo cartoon.
Pages 6 and 7: In Japanese, with English listing of titles.
Main Index
Japan main page
Japanese-American Internment Camps index page
Japan and World War II index page
|