
Denson Tribune Volume 1 #56-60
Volume 1 #56: Sept. 10, 1943
Page 1: Boys go woodcutting; war loan drive opens; freight aid given; recreational program arranged for vacation; film on Midwest to be shown; schedule announced for leave pictures; monitors chosen for first Tule-bound train.
Page 2: Editorials; At Random; cartoon.
Page 3: Workers get lift; From the Bull Pen; vocational classes open in Omaha; Toledo: war work center; co-op info.
Page 4: Starlettes win honors in 'bye now' program; sports; nurses' aid class starts; dry cleaning workers sought; dining 1, 29 score firsts; Phi Beta Chi replaces heads; list & found; next movie.
Page 5: Sports.
Page 6: Tule monitors from page 1; baggage to be examined at Tule Lake center; Dr. Garrott to speak; new shoe applications; YBA service chair; vital statistics; evacuee departures.
Pages 7, 8: In Japanese.
Volume 1 #57: Sept. 14, 1943
Page 1: Co-op declares patronage refund of 5%; restrictions released on Tule Lake departures; co-op sets up cashing service at pay station; industrial head named; co-op closes in morning; S.E. Arkansas medical society meets here; dining 1, 29 repeat wins; pinboys sought.
Page 2: Editorials; At Random; cartoon.
Page 3: Preparing for trip; Pot Pourri; Philadelphia urged as relocation point; farming prospects.
Page 4: Nisei says goodbye to Army until November; center girls invited to Shelby over weekend; nursing course open; visiting servicemen; high school principal says; junior league; lost & found.
Page 5: Sports.
Page 6: Medical society meet from page 1; patronage refund from page 1; 'God disturbs people'-Kanow; 'do work well' says Miyazaki; evacuee departures; outside work offers; farewell party.
Pages 7-10: In Japanese.
Volume 1 #58: Sept. 17, 1943
Page 1: First trainload leaves center for Tule Lake; Tule-bound get refunds; Dr. Arthur Takii gets first lieutenancy; insurance rule clarified; government storage of belongings urged; co-op heads appointed; center-made miso issued; residents see first departure; new medical chief named.
Page 2: Editorials; At Random; cartoon.
Page 3: The Compass and From the Bull Pen; 'one down, two to go' training appreciated; co-op info.
Page 4: Check cashing explained; new library hours set; agricultural, domestic work; three weddings; YBA to hear speaker; next movie announced; clubs on parade; trade courses available; found.
Page 5: Sports.
Page 6: Leaving the blocks; more on Tule movement from page 1; cooperation commended; 'they'll have to get out after the war'; local volunteer visits center; Bussei meets changed; evacuee departures; Cleveland hostel aids; vital stats; visiting servicemen.
Pages 7, 8: In Japanese.
Volume 1 #59: Sept. 21, 1943
Page 1: Second film on outside scheduled; first group arrives at Tule Lake; intent to relocate?; typists wanted; harvesters sought; Gripsholm picks up 89; Army barrack called 'league of nations'; work hours to be altered.
Page 2: Editorials, At Random, cartoon.
Page 3: Pot Pourri; Pocatello, Ida. hostel established; letters to the editor.
Laundry room.
Page 4: Shelby engineers play hosts to center girls; adult class exhibit to start Saturday; 'Peace of mind through Amida'; 'Christ is strength'; funeral rites; visiting servicemen; clubs on parade; lost & found; vital statistics.
Page 5: Sports.
Page 6: Co-op refund declared; mail now delivered to block mangers' offices; Kansas City offers jobs; conservation of gas for vehicles urged; typist positions; dorm fire quenched; evacuee departures; more on segregation departure; new secretary; Tule freight transported; St. Shinran course ends.
Pages 7-10: In Japanese.
Volume 1 #60: Sept. 24, 1943
Page 1: Tuleans to arrive today or tomorrow; two more segregant groups move; teachers sought; adult school exhibit opens; beet toppers wanted; early lunch.
Page 2: Editorials, At Random, cartoon.
Page 3: The Compass and From the Bull Pen; there's an art to making good canes; co-op info.
Body building.
Page 4: USO board established; kobu, flower show slated; Tuleans to be dispersed; Mustangs sponsor hop.
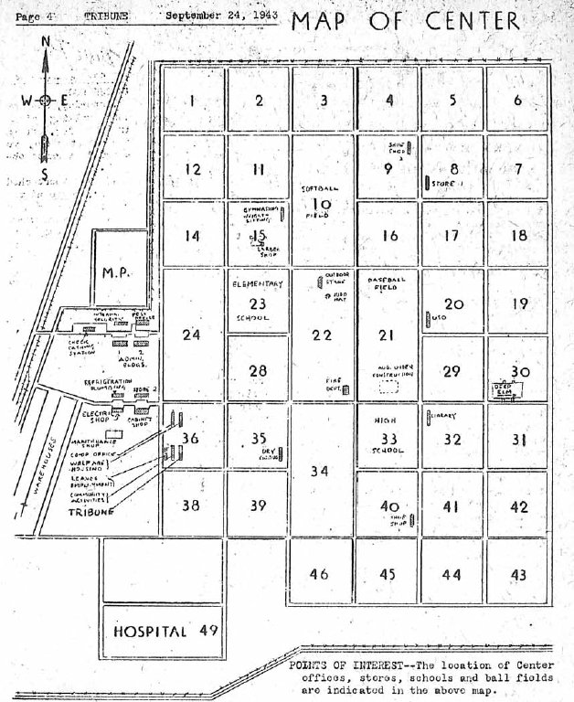
Map of Center
Page 5: Sports.
Page 6: Wedding; Grew's book in Japanese; evacuee departures; Buddhists observe Ohigan; Protestants hear Sakaue; engagements; comedy set for next week; clubs on parade; visiting servicemen; co-op closes for departure; lost.
Pages 7, 8: In Japanese.
Main Index
Japan main page
Japanese-American Internment Camps index page
Japan and World War II index page
|